Контакты

Коммерческая недвижимость в Украине: купить или продать

Продажа офисного здания 245 м² с дополнительным участком 0.45 га у трассы Н07 Киев–Сумы

Предлагается к продаже офис площадью 244.8 м² на участке 0.41 га с коммуникациями и соседний участок 0.45 га с навесом для с/х техники в Киевской области

Расположение
Русанов, Киевская область, Украина, 07453
Общая площадь недвижимости
244.8 кв.м.
Площадь земельного участка
0.45 га
Форма собственности земельного участка
1

ID: 39278

29.09.25

Локация: с. Русанов, Броварский район, Киевская область

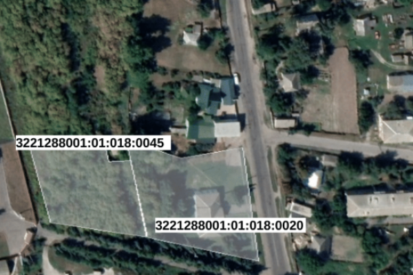
Объекты расположены непосредственно у международной трассы Н07 Киев–Сумы, что обеспечивает отличную транспортную доступность и логистику.

Офисное здание

  • Площадь земельного участка: 0,4144 га
  • Кадастровый номер: 3221288001:01:018:0020
  • Инженерные сети: подключение к газу и электроснабжению (50 кВт)
  • Площадь недвижимости: 244,8 м²

Участок — навес для с/х техники (разрушен)

  • Кадастровый номер: 3221288001:01:018:0045
  • Площадь земельного участка: 0,45 га
  • Площадь недвижимости: 270 м² (навес для с/х машин)

Цена: договорная

Расположение

Контакты

Юрій Бочкур-Краснянський

[email protected] +380 67 408 68 87

Свяжитесь со мной!

Привлечение инвестиций, продажа бизнеса и коммерческой недвижимости в Украине