Контакты

Земельные участки и земля в Украине: купить или продать

Продажа участка промышленного назначения 2 га, Черниговская область

Предлагается к продаже земельный участок промышленного назначения 2 га, идеально подходящий под размещение элеватора в Черниговской области, пгт Репки

Расположение
Замглайське шосе, Ріпки, Чернігівська область, Украина
Целевое назначение
Промышленного назначения
Площадь
1.99 га
Коммуникации
Стоимость продажи
$150 000

ID: 31200

28.01.25

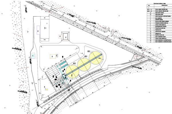
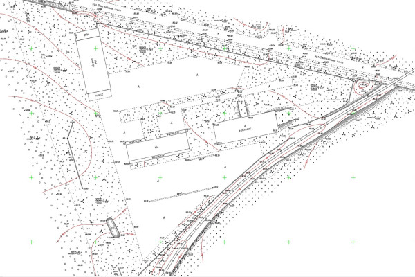
Расположение: Черниговская область, Репкинский район, пгт. Репки, ул. Замглайское шоссе, 6а

Площадь участка: 1,989 га

Кадастровый номер: 7424455100:02:039:0018

Права пользования на земельный участок: Договор аренды от 18 июня 2014 года (на 20 лет)

Целевое назначение участка: 11.02 Для размещения и эксплуатации основных, подсобных и вспомогательных зданий и сооружений предприятий перерабатывающей, машиностроительной и другой промышленности

Категория земель: Земли промышленности, транспорта, связи, энергетики, обороны и другого назначения

Существующие объекты недвижимости на участке:

  • одноэтажный склад из жб конструкций, площадь – 286 м2;
  • ограждение – 620 м.

Электроснабжение: Присоединяемая мощность: 550 кВт. Точка обеспечения мощности предусмотрена на существующей ПЛ 10 кв на расстоянии 10 метров от границы земельного участка. Предполагается строительство собственной подстанции 10/0,4, внутриучастковых электросетей и освещения.

Газоснабжение: Точка обеспечения мощности предусмотрена на существующем подземном газопроводе высокого давления из стали , ∅= 219 мм, на расстоянии 220 метров от границы земельного участка.

Предел балансовой принадлежности между ПАО «Черниговгаз» и Заказчиком устанавливается на границе земельного участка Заказчика. Предполагается строительство газопровода 227 метров ∅= 219 мм, узла учета газа и внутриучастковых газопроводов.

ЖД ветка: Внутриплощадочный железнодорожный путь длиной 150 метров со стрелкой примыкает к станционному жд пути ст. Голубичи «Голубичи – Замглай», (расстояние до ст. Голубичи – 2,5 км) и находится в неудовлетворительном состоянии, подлежит перепроектированию и полной замене. На внутриплощадочный путь устанавливается 10 вагонов-хопперов, разовая погрузка без маневровых работ с выездом на железнодорожные пути «Голубичи - Замглай» возможно 5 вагонов.

Предполагается строительство собственной железнодорожной ветки длиной до 200 м с двумя стрелочными переводами.

Расположение

Контакты

Алексей Олейников

[email protected] +380677136571

Свяжитесь со мной!

Привлечение инвестиций, продажа бизнеса и коммерческой недвижимости в Украине