Контакты

Коммерческая недвижимость в Украине: купить или продать

Продажа складов и производственных помещений с офисом 4056 м2 и участком 2,2 га, г. Одесса

Предлагается к продаже комплекс с промышленно-складскими помещениями с офисом 4056 м2, расположенными на участке 2,21 га, г. Одесса

Расположение
Локомотивна вулиця, 14, Одеса, Одеська область, Украина, 65000
Тип недвижимости
Логистическая недвижимость
Общая площадь недвижимости
4056 кв.м.
Площадь земельного участка
2.21 га
Цена
$800 000

ID: 28984

08.06.23

Местонахождение: г. Одесса, пер. Локомотивный, 14

Земельный участок: 2,21 га

Статус землепользования: договор аренды в стадии заключения

Кадастровый номер: 5110137600:26:006:0007

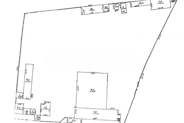
Общая площадь зданий: 4056,1 кв.м., из которых:

  • Здание диспетчерской – 584,6 кв.
  • Здание столярного цеха – 486,4 кв.м. (ошибка в техпаспорте), в том числе:
    - офисное помещение – 120,0 м2 (рассчитано на 10 рабочих мест, санузел, душевая, интернет, телефон, видеонаблюдение, сигнализация, охрана, кондиционеры;
    - Площадь, которую можно использовать как складские помещения – 366,4 м2
  • Производственный (складской) корпус со столовой – 2402,6 кв.м., в том числе:
    - Офисное помещение – 311 кв.м. (рассчитано на 18 рабочих мест (кабинеты: 5 кабинетов,2
    санузлы, серверные на 2 этаже; конференц-зал на 36 мест 84 м.кв, комната приема пищи
    кухня, санузел, душевая, подсобные помещения на 1 этаже; интернет, телефон, видеонаблюдение, сигнализация, охрана, кондиционеры).
    - Склады, которые используются – 1466,0 м2
    - Площадь, которую можно использовать под складские помещения – 625,6 м2
  • Здание моторного участка -529 м2, в том числе:
    - Складское помещение, используемое – 290,0 м2;
    - Площадь, которую можно использовать под складские помещения – 239,0 м2
  • Склад Агрегатов – 317,7 м2, в том числе:
    - Складское помещение, используемое – 259,0 м2;
    - Площадь, которую можно использовать под складские помещения – 58,70 м2.
  • Помещение КТП – 47,1 м2.
  • Помещение существующего ангара – 81,4 м2.

Коммуникации:

  • Электричество: собственная ТП 150кВт
  • Водоснабжение: городское
  • Водоотвод: самоочищающаяся яма
  • Газоснабжение: отсутствует
  • Отопление: электрические котлы – 32кВт-1шт; 12 кВт-1шт; горячая вода: бойлеры – 200л-1шт, 100л-1шт
  • Железнодорожный путь прилегает к ограждению объекта;
  • Территория покрыта асфальтом и бетонными плитами.
  • Территория обнесена забором

Оптимальные направления использования:

  • склады хранения, в том числе хранение химических веществ (есть сертификация)
  • различные направления производственной деятельности
  • девелопмент на свободной части территории участка (1 га)

Предмет продажи: недвижимость

Цена продажи: $800 000

Расположение

Контакты

Алексей Олейников

[email protected] +380677136571

Свяжитесь со мной!

Привлечение инвестиций, продажа бизнеса и коммерческой недвижимости в Украине